Pewnie zastanawia Was nasz dzisiejszy wpis : ) Od jakiegoś czasu na naszym pulpicie w Blogerze pojawia się w takiej lub podobnej formie (jak w tytule) takie właśnie hasło, z którego Google przekierowuje na naszego bloga, no tak bo gdzie właściwie ma przekierować jak nie do nas.
Wydawało nam się zawsze że gdy na głównym miejscu na blogu podany jest nasz numer telefonu i adres e-mail, to wszystko jest proste dla każdego kto chce nas odwiedzić (nie wirtualnie) .
Wydaje nam się że szukają nas zawzięcie w ten sposób Ci którzy chcą nam zrobić niesopodziankę : ) i to im dedykujemy dzisiejszy wpis.
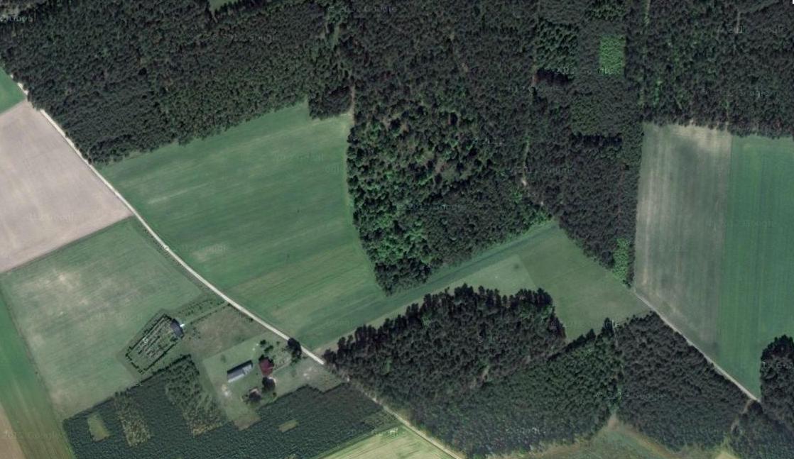
Mieszkamy ( z wyboru) w miejscu dość spokojnym, ktoś by mógł powiedzieć odludnym ( do cywilizacji czyli drogi asfaltowej mamy około 1km a do najbliższych sąsiadów około 1.5 km) Jest to miejsce w sumie łatwe do znalezienia ( wiedzą o tym wszyscy którzy u nas bywają ) pod jednym warunkiem że my wytłumaczymy jak do nas dojechać. W dolnej części zdjęcia lotniczego widać nasze rancho a na całości zdjęcia otoczenie i przestrzeni pól i lasów dokoła nas : )
Kilka zdjęć z widokami z przed trzech dni (dziś odwilż)
Tel : 507-568-773
e-mail : los.alpaqueros@op.pl
Wokół nas zdecydowanie więcej domów, ale też pięknie i zielono. Urocze to Wasze miejsce, pięknie wygląda z kosmosu.Ja nie wiem jak wkleić na swojego bloga takie zdjęcie z lotu ptaka.
OdpowiedzUsuńZdjęcie z lotu ptaka najlepiej znaleźć na ,,Google maps''wykadrować (znaleźć i powiększyć) miejsce do pokazania, skopiować na pulpit i wkleić do blogera:)
OdpowiedzUsuńSerdecznie Was pozdrawiamy.
Pięknie u Was, u mnie błoto, deszcz, błoto i deszcz i auto mi się topi;) Wasze umiejętności komputerowe mi imponują;)
OdpowiedzUsuńU nas dziś też już błoto. Nasz dzielny pojazd bojowo-terenowy SUZUKI ,,Samurai LWB'' :) nie boi się żadnego błota i dowozi wszędzie gdzie chcemy :)
UsuńCo do umiejętności komputerowych to sześć lat siedzenia przy tym pudełku robi swoje, a w sytuacjach skomplikowanych korzystamy z pomocy jednego z synów, bardzo biegłego w te klocki :)))
Pozdrawiamy
Pojazd bojowo - terenowy jest super i jedyny w swoim rodzaju :)
OdpowiedzUsuńUściski poświąteczne dla Was, Zosiu i Januszu.
P.S. Piernik z Waszego przepisu wyszedł znakomity,
zostało po nim już tylko wspomnienie...
W związku z tym w ten weekend zamierzam zrobić powtórkę :)
Taaak jedyny w swoim rodzaju :)
UsuńSzkoda że tak daleko bo byśmy wpadli na ten weekendowy piernik :)
P.S.
W sobotę wybieramy się do miasta między innymi w celu zakupu ostatniego numeru ,,Nieznanego Świata'' :)
Ściskamy Was mocno.
Tak, to bardzo ciekawe czasopismo ;))
UsuńA piernik tym razem będzie z polewą czekoladową!
I znów rozpachni się cały dom...
Już kupiliśmy :) Suuuper wiersze, no i w tomiku ich nie ma .
UsuńZosiu i Januszu, Witajcie po świętach!
OdpowiedzUsuńTeż mieszkamy w miejscu dalekim od cywilizacji. Mamy tylko dwoje sąsiadów. Poza tym wokół lasy, pola, łąki i góry. Tego właśnie szukalismy i to znaleźliśmy.
I u nas już teraz wszędzie tylko błoto i kałuże. Chodzi się w gumofilcach, oblepionych tą gliniasto-błotnistą, ciężką mazią i trudno stawiać kroki, by nie poślizgnąć się na tym odmrożonym, prawie wiosennym świecie.
Najbardziej z tej wiosny grudniowej cieszą sie nasze kury, które znowu mogą do woli zażywac spacerów po ogrodzie, grzebania się w ziemi, skubania nieco przywiędłej trawy. Także i nam teraz łatwiej jeździ się naszym jeepem, bo bywało już tej zimy tak, że się ślizgaliśmy, tańcząc po drogach a nawet już raz zdążylismy się w zaspach zakopać i potem jak psy rękami się przez dwie godziny wykopywać!
Niech więc to ciepło trwa jak najdłużej, byleby tylko ogłupiała tym nieco natura nie zaczęła zawiązywać pączków na drzewach i krzewach, myśląc że to prawdziwa wiosna!
Wszystkiego dobrego Wam życzymy i do napisania!
Olga i Cezary
Naszymi jedynymi sąsiadami są: jelenie, sarny, lisy, jenoty, borsuki, dziki a od jakiegoś czasu nawet wilki :)
UsuńZ ocieplenia też się cieszymy, na dzień przed Wigilią było nocą -17*C i śnieg jak widać na zdjęciach.
Pozdrawiamy
Zosia i Janusz
Lubimy samotnie. Pięknie mieszkacie, ... tylko trochę u Was płasko :DDD
OdpowiedzUsuńChcielibyśmy kiedyś do Was zawędrować, najlepiej piechotą. Może, może
Pzdr.
PS. A Pogórze od dawna ciepłe i błotniste.
Pamiętajcie że z tym,,zawędrować'' trzymamy Was za słowo :) a wiecie słowo się rzekło...
UsuńPozdrawiamy Was :)